Bouwgrond
€ 240.000

Diestsesteenweg 118, 3210 Lubbeek
    • delen

Omschrijving Ref.: 7595493

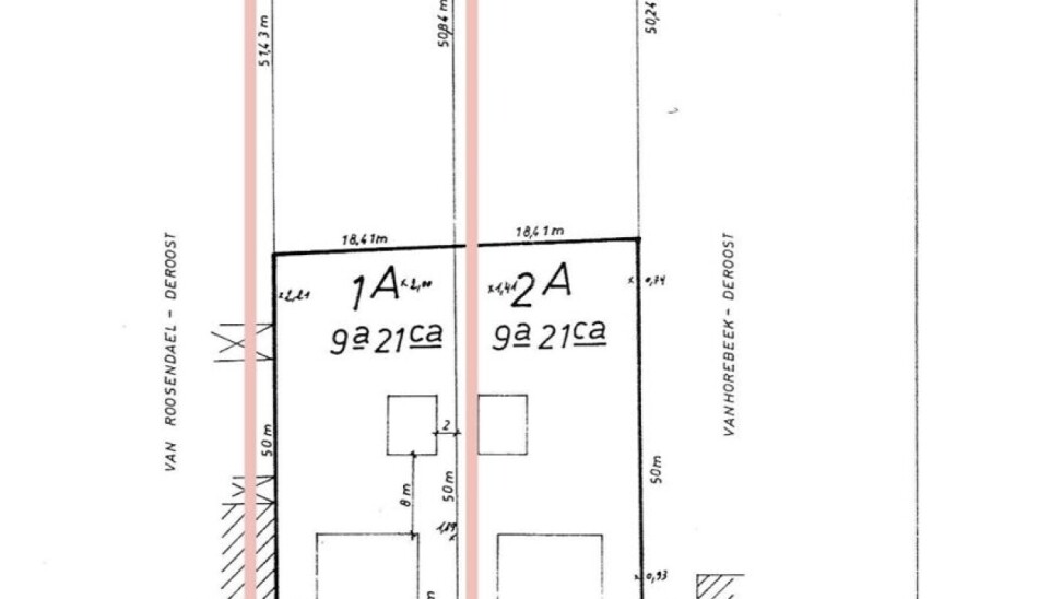
Volledig zuid georiënteerde VILLABOUWGROND, met prachtig zicht! Voor dit perceel zijn geldige verkavelingsvoorschriften van toepassing. Meer informatie, plannen of details zijn verkrijgbaar op aanvraag. De grond heeft een totale oppervlakte van 18a en


Volledig zuid georiënteerde VILLABOUWGROND, met prachtig zicht!

Voor dit perceel zijn geldige verkavelingsvoorschriften van toepassing. Meer informatie, plannen of details zijn verkrijgbaar op aanvraag.
De grond heeft een totale oppervlakte van 18a en 62ca.

De ligging is bovendien praktisch, met vlotte bereikbaarheid van winkels, scholen en openbaar vervoer.

Interesse? Voor een vrijblijvend bezoek kan u mailen naar info@bondimmo.be of ons contacteren op 016 62 01 05.


BOND immo Leuven

Vragen over deze eigendom ref: 7595493
contact

Details van het pand

Financieel

Prijs
€ 240.000,00
Beschikbaarheid
Vanaf akte

Ligging

Buurt
Vrij zicht, uitzicht op het platteland
School nabij
Ja
Winkels nabij
Ja
Openbaar vervoer nabij
Ja
Autosnelweg nabij
Ja

Terrein

Grondoppervlakte
1.862,00 m²
Terreindiepte
101,00 m

Stedenbouw

Bestemming
Agrarisch gebied
Bouwvergunning
Niet meegedeeld
Verkavelingsvergunning
Ja
Voorkooprecht
Nee
Dagvaarding
Niet meegedeeld

Meer info over deze eigendom

Bedankt voor je bericht, we contacteren je zo spoedig mogelijk.
Er was een probleem bij het versturen van het formulier, gelieve opnieuw te proberen.
(*) Gelieve de verplichte velden in te vullen.